
LIFULL HOME'Sで詳細を見る
募集あり
購入
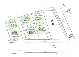
神奈川県厚木市飯山南4丁目
本厚木駅 バス18分 台の上下車 徒歩5分
掲載価格
1,850万円
8件
厚木市飯山南4丁目 売地 建築条件無し

募集あり
購入
厚木市飯山南4丁目の土地

募集あり
購入
厚木市飯山の土地

募集あり
購入
厚木市飯山南 売地〜建築条件無し〜 1

募集あり
購入
厚木市飯山南4 土地 No.2

募集あり
購入
厚木市飯山南5 土地

募集あり
購入
厚木市飯山南4丁目 全2区画(1) 土地

募集あり
購入
厚木市飯山 土地

募集あり
購入
※不動産・住宅の詳細情報や募集状況などは随時変化します。最新の情報とは異なる場合がありますのでご了承ください