
LIFULL HOME'Sで詳細を見る
募集あり
購入
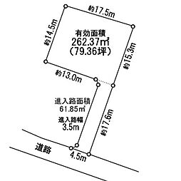
静岡県浜松市浜名区平口36番
浜北駅 3.2km
掲載価格
352万円
9件
浜松市浜名区平口の土地

募集あり
購入
浜名区横須賀 売土地

募集あり
購入
浜松市浜名区横須賀の土地

募集あり
購入
売土地 浜名区善地

募集あり
購入
浜松市浜名区東美薗の土地

募集あり
購入
浜松市浜名区善地の土地

募集あり
購入
浜松市浜名区寺島の土地

募集あり
購入
【積水ハウス】コモンステージ浜名区横須賀【建築条件付土地】

募集あり
購入
浜松市浜名区高畑の土地

募集あり
購入
※不動産・住宅の詳細情報や募集状況などは随時変化します。最新の情報とは異なる場合がありますのでご了承ください