
LIFULL HOME'Sで詳細を見る
募集あり
購入
埼玉県上尾市大字平方1610-12
上尾駅 バス11分 平方小学校前下車 徒歩4分
掲載価格
950万円
8件
上尾平方 敷地53坪×建築条件なし売地

募集あり
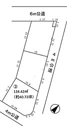
購入
上尾市大字平方 3号地

募集あり
購入
上尾市大字平方 1号地

募集あり
購入
上尾市平方売地

募集あり
購入
上尾市平方売地

募集あり
購入
上尾市大字平方の土地

募集あり
購入
上尾市大字平方の土地

募集あり
購入
上尾市大字平方の土地

募集あり
購入
※不動産・住宅の詳細情報や募集状況などは随時変化します。最新の情報とは異なる場合がありますのでご了承ください