
LIFULL HOME'Sで詳細を見る
募集あり
購入
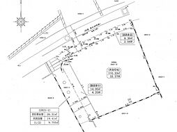
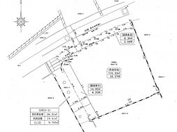
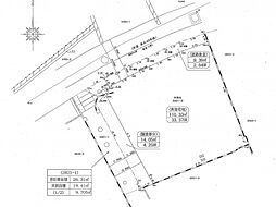
愛媛県松山市山越3丁目
木屋町駅 徒歩12分
掲載価格
668万円
12件
松山市山越3丁目の土地

募集あり
購入
松山市木屋町4丁目の土地

募集あり
購入
松山市清水町4丁目の土地

募集あり
購入
売地 姫原1丁目

募集あり
購入
売地 清水町3丁目

募集あり
購入
松山市木屋町

募集あり
購入
売地 谷町

募集あり
購入
松山市御幸

募集あり
購入
松山市吉藤 松山市吉藤

募集あり
購入
松山市山越

募集あり
購入
松山市御幸

募集あり
購入
松山市御幸 ミサワホームタウン御幸

募集あり
購入
※不動産・住宅の詳細情報や募集状況などは随時変化します。最新の情報とは異なる場合がありますのでご了承ください