
LIFULL HOME'Sで詳細を見る
募集あり
購入
愛知県丹羽郡大口町高橋2丁目72番、86番他
柏森駅 徒歩27分
掲載価格
1,348万円
11件
プログレスタウン大口町【トヨタホーム愛知】

募集あり
購入
【トヨタホーム】プログレスタウン大口町

募集あり
購入
売土地 市街化区域

募集あり
購入
丹羽郡大口町余野二丁目

募集あり
購入
丹羽郡大口町竹田

募集あり
購入
丹羽郡大口町秋田

募集あり
購入
丹羽郡大口町竹田

募集あり
購入
【ダイワハウス】セキュレア大口町余野3丁目 (建築条件付宅地分譲)

募集あり
購入
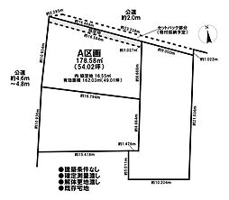
売土地 既存宅地 丹羽郡大口町堀尾跡1丁目 全3区画 A区画

募集あり
購入
売土地 市街化区域

募集あり
購入
売土地 市街化区域

募集あり
購入
※不動産・住宅の詳細情報や募集状況などは随時変化します。最新の情報とは異なる場合がありますのでご了承ください